Grundstücke
Lagebeschreibung – 27 Baugrundstücke in Plau am See, Amselstraße/Mühlenberg
Die Grundstücke an der "Amselstraße/Mühlenberg“ befinden sich in einer ruhigen und naturnahen Wohngegend von Plau am See, einer idyllischen Kleinstadt im Herzen von Mecklenburg-Vorpommern. Die 27 voll erschlossenen Grundstücke in Plau am See umfassen jeweils eine Fläche von ca. 600 m² und bieten optimale Voraussetzungen für den Bau. Die Lage verbindet das Beste aus zwei Welten: die Nähe zur malerischen Natur des Plauer Sees und gleichzeitig eine hervorragende Anbindung an die städtische Infrastruktur.
Der Plauer See, einer der größten Seen der Mecklenburgischen Seenplatte, liegt nur wenige Minuten entfernt und bietet zahlreiche Freizeitmöglichkeiten wie Schwimmen, Segeln, Wandern und Radfahren. Die umgebende Landschaft mit Wäldern, Wiesen und Gewässern lädt zu entspannenden Spaziergängen und Aktivitäten im Freien ein.
Die Amselstraße ist Teil eines familienfreundlichen Wohngebietes, das durch großzügige Grundstücke, grüne Umgebung und eine lockere Bebauung geprägt ist. Trotz der ruhigen Lage sind Geschäfte des täglichen Bedarfs, Schulen, Kindergärten und medizinische Einrichtungen in wenigen Minuten erreichbar. Das historische Zentrum von Plau am See mit seinen charmanten Fachwerkhäusern, Restaurants und Cafés liegt ebenfalls in unmittelbarer Nähe.
Durch die gute Verkehrsanbindung über die Bundesstraßen B191 und B103 sowie die Autobahnen A19 und A24 sind größere Städte wie Rostock und Berlin bequem in weniger als zwei Stunden erreichbar, was die Lage sowohl für Dauerbewohner als auch für Ferienhausbesitzer attraktiv macht.
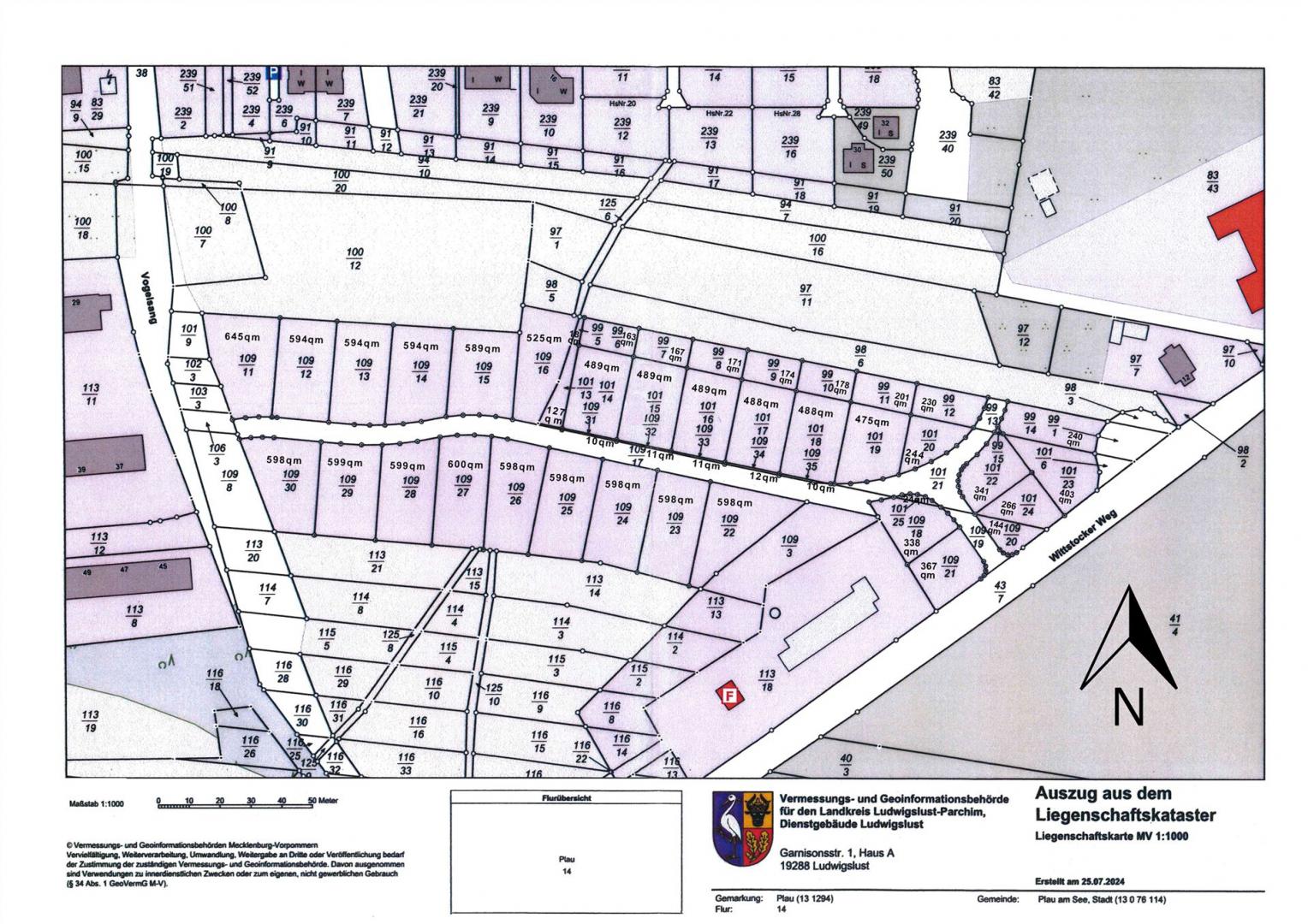
Bebauungsplan und Grundstücksanordnung –
Amselstraße, Plau am See
Die 27 Grundstücke „An der Amselstraße“ liegen harmonisch nebeneinander in einem neu erschlossenen Wohngebiet, das nach den Vorgaben des aktuellen Bebauungsplans entwickelt wurde. Der Auszug aus dem Liegenschaftsregister zeigt klar, wie die Grundstücke optimal angeordnet sind, um eine offene und gleichzeitig private Wohnsituation zu gewährleisten. Dank der großzügigen Grundstücksgrößen und der wohlüberlegten Planung können zukünftige Bauvorhaben den Bedürfnissen von Familien, Paaren oder Einzelpersonen angepasst werden, die nach einem idyllischen Rückzugsort suchen.
Die Baulage zeichnet sich durch ihre ideale und ruhige Lage aus, die für eine hohe Lebensqualität sorgt. Durch die lockere Bebauung entsteht ein Gefühl von Weite, während gleichzeitig die Nähe zu Nachbarn für ein starkes Gemeinschaftsgefühl sorgt. Die 27 erschlossenen Grundstücke bieten genügend Raum für individuell gestaltbare Wohnhäuser, Gärten und Freiflächen, sodass ein hohes Maß an Privatsphäre und Erholungsmöglichkeiten gewährleistet ist.
Ein weiterer Vorteil der Lage ist die fußläufige Entfernung zum Ortskern von Plau am See. Innerhalb weniger Gehminuten erreichen Sie Geschäfte, Restaurants, Cafés sowie kulturelle Einrichtungen, die den täglichen Bedarf und mehr abdecken. Die Kombination aus Ruhe und Naturnähe mit der direkten Anbindung an städtische Einrichtungen macht diese Grundstücke besonders attraktiv.
Auch Einkaufsmöglichkeiten für den täglichen Bedarf befinden sich in unmittelbarer Nähe. Supermärkte und kleinere Läden sind leicht zu erreichen, sodass alle wichtigen Besorgungen schnell und bequem erledigt werden können.
Insgesamt bietet die Lage der Grundstücke in der Amselstraße eine einzigartige Kombination aus Naturverbundenheit und urbaner Nähe, die sowohl für dauerhafte Wohnnutzung als auch für Ferienimmobilien äußerst vorteilhaft ist. Die Grundstücke in Plau am See sind vollständig erschlossen, haben eine Größe von rund 600 m² und werden zu einem Quadratmeterpreis von € 209,50 angeboten.
Ihr Partner für Grundstückserwerb und individuelle Bungalow-Bauprojekte
Die Erschließungsgesellschaft Schröders & Stelten begleitet Sie nicht nur beim Erwerb eines Grundstücks, sondern steht Ihnen auch bei der Realisierung Ihres Bauvorhabens kompetent zur Seite. Nach dem erfolgreichen Abschluss des 1. Bauabschnitts in der Amselstraße mit der Fertigstellung mehrerer Bungalows, geht es nun mit dem 2. Bauabschnitt und der Vermarktung von 27 voll erschlossenen Grundstücken weiter. Wenn Sie Bauabsichten planen, unterstützen wir Sie umfassend bei der Planung und Umsetzung Ihres individuellen Bungalows – maßgeschneidert für Ihre Bedürfnisse und jede Zielgruppe. Als verlässlicher Partner übernehmen wir die Baubetreuung und begleiten Ihr Projekt von der Idee bis zur Fertigstellung, damit Ihr Traum vom Eigenheim Wirklichkeit wird.
